Springfield Road, Rowde
RCC first dealt with this site when we acted on behalf of the previous owner (Aster Housing Association) attaining outline planning permission for two houses an...
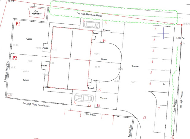
RCC first dealt with this site when we acted on behalf of the previous owner (Aster Housing Association) attaining outline planning permission for two houses and replacement car parking. The site consisted of a row of garages and a wider hard surfaced area used for car parking, as seen in the photographs.


Photographs of the site before the development
Following the approval of that application the site was sold at auction. RCC were then approached by the purchaser who wanted us to prepare and submit the reserved matters application. In doing so we prepared a proposal that reduced the replacement parking provision to provide a better setting for the proposed dwellings. In order to support the new proposal we undertook a car parking survey to demonstrate the lack of need for the amount of replacement car parking previously required by the council. We were successful and the application approved. Extracts from the drawings submitted are attached.
Extracts of approved drawings

